この分譲地は完売しました

- 仲介物件
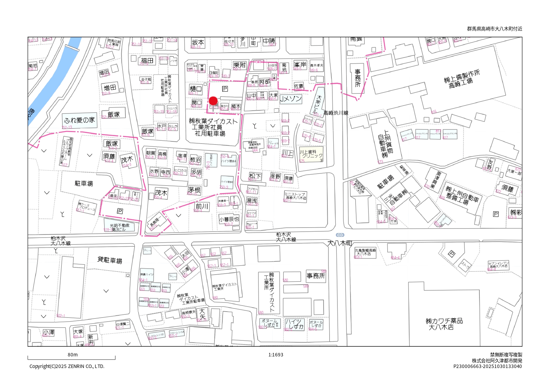
【媒介】高崎市大八木町567-3、-6,-7
- 所在地
高崎市大八木町567-3
- 土地面積
142.38㎡(43.07坪)
- 物件情報
- 物件資料・図面(PDF)
- 案内図・周辺環境
◆部屋数4LDK◆駐車スペース1台可能◆南側駐車場の為陽当たり良し
◆部屋数 4LDK
◆平成8年6月22日(築・築29年)
《周辺環境》
◇ベルクベルク高崎大八木店まで400m
◇ミニストップ高崎大八木店まで210m
◇恵保育園まで1,200m
◇中川小学校まで1,700m
◇中尾中学校まで2,900m
◇カワチ薬品大八木調剤まで300m
◇スーパービバホームまで600m
-
引き渡し時期
要相談
-
前面道路
位置指定道路 W=5m 持分1/6あり
-
現況
中古住宅あり
-
地目
宅地
-
都市計画
市街化区域
-
用途地域
工業地域
-
電気
東京電力
-
ガス
プロパンガス
-
飲用水
公営
-
排水
浄化槽
-
雨水
宅内浸透
-
建ぺい率
60
-
容積率
200
-
その他
現況引渡し
案内図
周辺環境
-
スーパー
ベルク高崎大八木店
400m(徒歩5分)
-
コンビニ
ミニストップ高崎大八木店
210m(徒歩3分)
-
保育園
恵保育園
1,200m(徒歩15分)
-
小学校
中川小学校
1,700m(徒歩22分)
-
中学校
中尾中学校
2,900m(徒歩37分)
-
ドラッグストア
カワチ薬品大八木調剤
300m(徒歩4分)
-
ホームセンター
スーパービバホーム
600m(徒歩8分)
地図
- 物件情報
- 物件資料・図面(PDF)
- 案内図・周辺環境
この分譲地は完売しました


